Actualidad
Actualidad
Política
Política
Empresa
Empresa
Opinión
Opinión
Inmobiliaria
Inmobiliaria
Agenda Empresarial
Agenda Empresarial
Videos
Videos

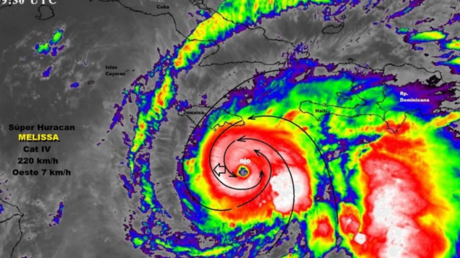
Huracán Melissa ya es categoría 4 y podría intensificarse antes de tocar Jamaica

Imagen: CB24
Alicia Utrera
26 de octubre, 2025

El huracán Melissa avanza con fuerza sobre el Caribe, elevando la alerta regional por lluvias extremas y vientos destructivos. El fenómeno, que ya alcanzó categoría cuatro, mantiene a Jamaica bajo aviso de huracán mientras el Centro Nacional de Huracanes (NHC) advierte sobre un posible fortalecimiento antes de su impacto en tierra.

Es noticia. Melissa continúa su desplazamiento lento, con vientos sostenidos de 220 km/h y ráfagas superiores. El Centro Nacional de Huracanes prevé que el ciclón toque tierra entre la noche del lunes y la mañana del martes, con riesgo de intensificarse a categoría cinco.

  • El ojo del huracán se localiza a 195 km al sur-sureste de Kingston (Jamaica) y 450 km al sur-suroeste de Guantánamo (Cuba), moviéndose a 7 Km/h hacia el oeste.
  • Jamaica mantiene alerta máxima, mientras Haití y República Dominicana permanecen bajo vigilancia por lluvias torrenciales y deslizamientos de tierra.
  • El NHC prevé una rápida intensificación durante las próximas horas, seguida de fluctuaciones en su fuerza conforme avance hacia el noroeste.

En el radar. Los meteorólogos advierten que la lentitud de Melissa agravará el impacto en tierra firme, ya que las precipitaciones prolongadas aumentarán el riesgo de inundaciones catastróficas.

SUSCRÍBASE A NUESTRO NEWSLETTER
  • Se pronostican acumulados de entre 380 y 760 milímetros de lluvia, con zonas que podrían superar los 1000 milímetros en el sur de Jamaica y la Española, según el NHC.
  • En Haití, al menos tres personas murieron y cientos fueron desplazadas; en República Dominicana, millones permanecen sin agua potable tras el paso de las bandas exteriores del ciclón.
  • Las autoridades jamaicanas piden evacuar zonas costeras y advierten que “la furia de Melissa afectará a toda la isla”.

Qué destacar. La trayectoria proyectada coloca a Cuba, Haití y República Dominicana dentro del cono de riesgo, mientras países de Centroamérica vigilan el desarrollo del sistema por posibles lluvias asociadas.

  • El huracán podría acercarse al sureste cubano entre martes y miércoles antes de continuar hacia las Bahamas, donde también se emitieron alertas preventivas.
  • Meteorólogos locales en el Caribe señalan que el fenómeno se alimenta de aguas con temperaturas superiores a los 29 °C, condiciones que favorecen su intensificación.
  • Guatemala y Honduras no se encuentran en la ruta directa, pero el Instituto Nacional de Sismología, Vulcanología, Meteorología e Hidrología (Insivumeh) monitorea posibles bandas de lluvia hacia el fin de semana.

En conclusión. Los pronósticos del NHC advierten que Melissa mantendrá una estructura compacta y extremadamente peligrosa durante los próximos días.

  • Se prevé que toque tierra en Jamaica como huracán mayor, lo que podría devastar infraestructura crítica, cultivos y sistemas eléctricos.
  • El NHC advierte que después de cruzar el Caribe occidental, el sistema podría debilitarse gradualmente, aunque seguiría siendo una tormenta de gran impacto en Cuba y Bahamas.
  • Con Melissa, ya son 13 los ciclones del Atlántico en 2025, lo que convierte esta temporada en una de las más activas de los últimos años, según registros históricos.

Huracán Melissa ya es categoría 4 y podría intensificarse antes de tocar Jamaica

Imagen: CB24
Alicia Utrera
26 de octubre, 2025

El huracán Melissa avanza con fuerza sobre el Caribe, elevando la alerta regional por lluvias extremas y vientos destructivos. El fenómeno, que ya alcanzó categoría cuatro, mantiene a Jamaica bajo aviso de huracán mientras el Centro Nacional de Huracanes (NHC) advierte sobre un posible fortalecimiento antes de su impacto en tierra.

Es noticia. Melissa continúa su desplazamiento lento, con vientos sostenidos de 220 km/h y ráfagas superiores. El Centro Nacional de Huracanes prevé que el ciclón toque tierra entre la noche del lunes y la mañana del martes, con riesgo de intensificarse a categoría cinco.

  • El ojo del huracán se localiza a 195 km al sur-sureste de Kingston (Jamaica) y 450 km al sur-suroeste de Guantánamo (Cuba), moviéndose a 7 Km/h hacia el oeste.
  • Jamaica mantiene alerta máxima, mientras Haití y República Dominicana permanecen bajo vigilancia por lluvias torrenciales y deslizamientos de tierra.
  • El NHC prevé una rápida intensificación durante las próximas horas, seguida de fluctuaciones en su fuerza conforme avance hacia el noroeste.

En el radar. Los meteorólogos advierten que la lentitud de Melissa agravará el impacto en tierra firme, ya que las precipitaciones prolongadas aumentarán el riesgo de inundaciones catastróficas.

SUSCRÍBASE A NUESTRO NEWSLETTER
  • Se pronostican acumulados de entre 380 y 760 milímetros de lluvia, con zonas que podrían superar los 1000 milímetros en el sur de Jamaica y la Española, según el NHC.
  • En Haití, al menos tres personas murieron y cientos fueron desplazadas; en República Dominicana, millones permanecen sin agua potable tras el paso de las bandas exteriores del ciclón.
  • Las autoridades jamaicanas piden evacuar zonas costeras y advierten que “la furia de Melissa afectará a toda la isla”.

Qué destacar. La trayectoria proyectada coloca a Cuba, Haití y República Dominicana dentro del cono de riesgo, mientras países de Centroamérica vigilan el desarrollo del sistema por posibles lluvias asociadas.

  • El huracán podría acercarse al sureste cubano entre martes y miércoles antes de continuar hacia las Bahamas, donde también se emitieron alertas preventivas.
  • Meteorólogos locales en el Caribe señalan que el fenómeno se alimenta de aguas con temperaturas superiores a los 29 °C, condiciones que favorecen su intensificación.
  • Guatemala y Honduras no se encuentran en la ruta directa, pero el Instituto Nacional de Sismología, Vulcanología, Meteorología e Hidrología (Insivumeh) monitorea posibles bandas de lluvia hacia el fin de semana.

En conclusión. Los pronósticos del NHC advierten que Melissa mantendrá una estructura compacta y extremadamente peligrosa durante los próximos días.

  • Se prevé que toque tierra en Jamaica como huracán mayor, lo que podría devastar infraestructura crítica, cultivos y sistemas eléctricos.
  • El NHC advierte que después de cruzar el Caribe occidental, el sistema podría debilitarse gradualmente, aunque seguiría siendo una tormenta de gran impacto en Cuba y Bahamas.
  • Con Melissa, ya son 13 los ciclones del Atlántico en 2025, lo que convierte esta temporada en una de las más activas de los últimos años, según registros históricos.

¿Quiere recibir notificaciones de alertas?